Så många hus det fanns i Surte som vi lite yngre Surtebor inte har en aning om att dom fanns. Det ser väldigt mysigt och pittoreskt ut men jag antar att det fanns andra sidor som inte var lika mysiga.
Man hade runt 1880 en Handelsträdgård i Surte.
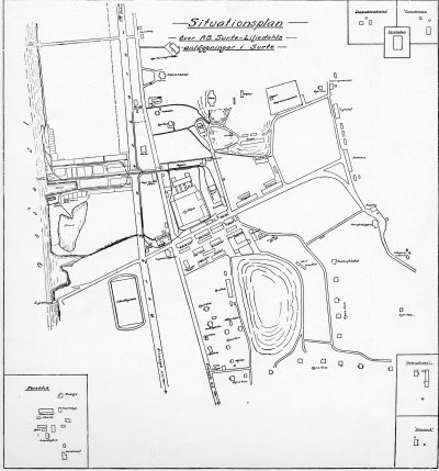
En glasarbetare hade långt in på 1940-talet fri bostad, fri ved samt ett potatisland som extra anställningsförmåner. Bruket lät också uppföra en skolbyggnad, inrätta en handelsbod, biograf, badhus och bekostade till och med en idrottsanläggning.
Har du minnen eller bilder från husen? Berätta gärna nedan.
Här ser du hur bostäderna låg i Surte


